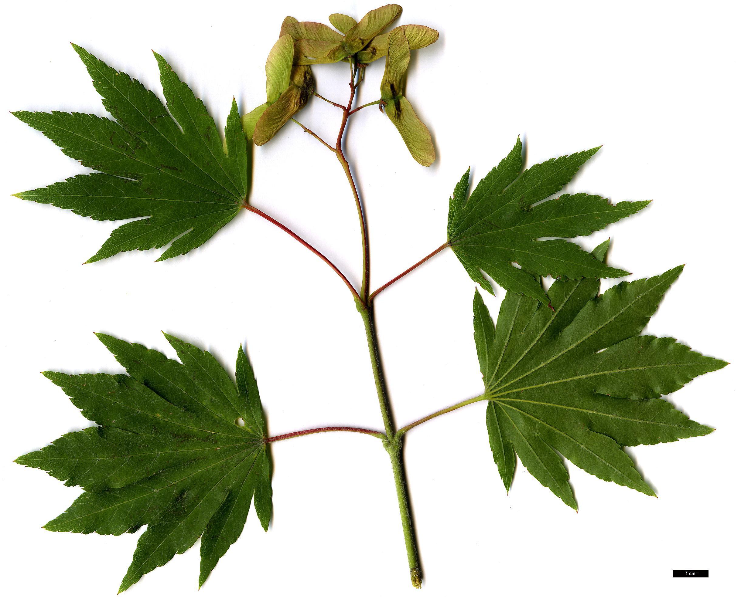
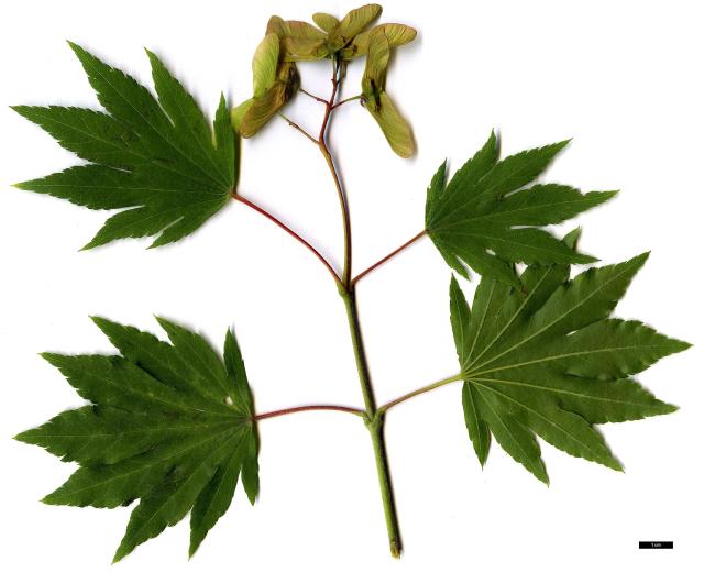
This image illustrates the Acer key. Acer tenuifolium (©JDL/Plantcol-AHTS563-11.07.2005)
Copyright © 2008–2019 Jan De Langhe. Non-commercial use of material with correctly referencing the name Jan De Langhe and the web address is allowed: http://www.plantentuin.ugent.be
